売買物件詳細

池尻中2丁目B号地物件No.S00071


売土地

南海高野線 狭山駅 徒歩9分
南海高野線 大阪狭山市駅 徒歩16分

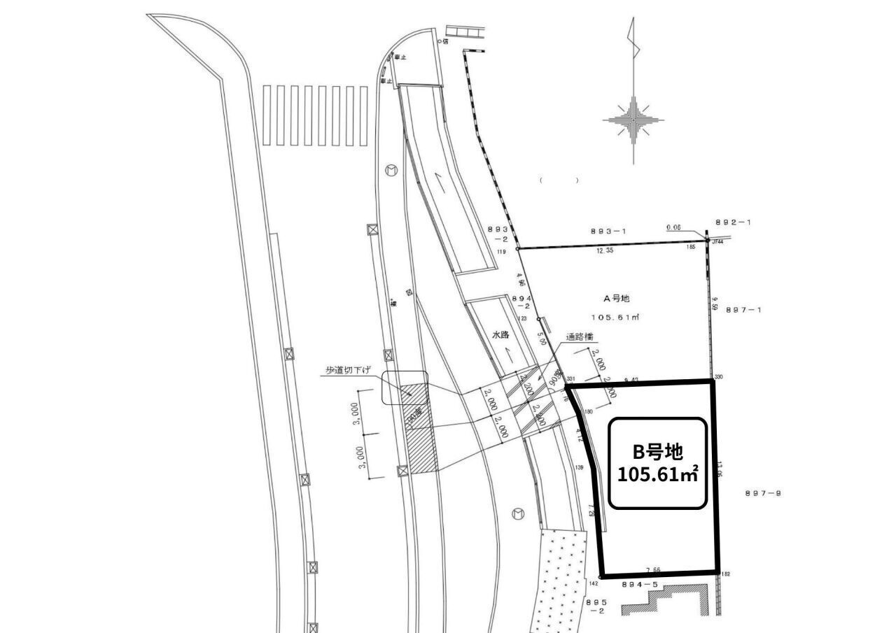
105.61m2
価格
1,900万円
  • ■南海高野線「狭山駅」徒歩9分!
  • ■土地面積:105.61m2(31.94坪)
  • ■建物参考プラン(建物価格2042万円、建物面積約30.93坪)
  • ■プロと一緒につくる完全オーダーメイドの住まい!
その他写真
物件概要
物件名 池尻中2丁目B号地物件No.S00071
価格 1,900万円
消費税  
所在地 大阪狭山市池尻中2丁目 
交通 南海高野線 狭山駅 徒歩9分
南海高野線 大阪狭山市駅 徒歩16分
種目 売土地 現況 更地 
引渡時期   引渡年月  
土地(実測) 105.61m2  土地(公簿)  
私道面積 約20m2 の3分1  地目 宅地   
土地権利   地勢 平坦 
建ぺい率 60%  容積率 200% 
接道状況   国土法届出  
接道方向   接道幅員  
接道方向   接道幅員  
接道内容 本物件は西側に水路があるため、原則として接道義務を満たしておらず再建築は出来ません。但し、占用通路橋と占用通路の占用許可を受けて、建築基準法第43条但し書きの許可を得て建築可能です。 
用途地域 第二種中高層住居専用地域   
都市計画 市街化   
他制限 準防火   
建築条件 建築条件付き 
設備 電気 
備考 ※ガス引込なし                                                                         ※本物件は西側に水路があるため、原則として接道義務を満たしておらず再建築は出来ません。但し、占用通路橋と占用通路の占用許可を受けて、建築基準法第43条但し書きの許可を得て建築可です。                                       ※本物件から西側私道に至るまで、土地改良区通路水路占用使用料が必要です。(占用使用料・年間29,620円) 
情報更新 2025-10-13 15:56:49  取引態様 専任

もっと見る

TEL:0120-44-5050

この物件を問合せ

お気に入りに追加

Contactお問合せ

− お気軽にお問合せください −


株式会社KOKEN
〒594-1115 大阪府和泉市平井町700-4

不動産部0725-90-5015

建築部0725-90-5016

FAX0725-90-5017

MENU

PAGE
TOP